Aphids

notes

Main aphids in Africa: Black bean aphid ([i]Aphis fabae[/i]), Cabbage aphid ([i]Brevycoryne brassicae/Myzus persicae[/i]), Groundnut aphid ([i]A.craccivora[/i]), Cotton aphid ([i]A.gossypii[/i]), Russian wheat aphid ([i]Diuraphis noxia[/i]), Cypress aphid ([i]Cinara cupressi[/i])

feaured_photo_co
A. M. Varela,icipe
Is this a Minor Pest?
Yes
Minor Pest Title

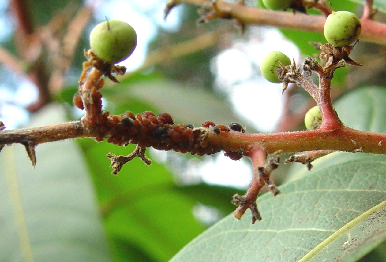
Mango aphid (Toxoptera odinae)

Minor Pest Description

It is small (1.1 to 2.5 mm long), brown, black or reddish brown aphid covered with a light powdery dusting. Aphids live in clusters sucking sap on the underside of young leaves, on petioles, young branches and fruit. Their feeding causes slight rolling, or twisting of the leaf midrib. Sooty mould growing on honeydew produced by the aphids may cover leaves, twigs and fruit. Coating of the fruit with honeydew and sooty mould reduces its market value.

 

Minor Pest What to do.
  • Conserve natural enemies. Aphids are attacked by a wide range of natural enemies, which are very important in natural control of these pests.
Minor Pest Position
12
Minor Pest Firstcontent
124
Pest Type
insect
Other Crops
Apple trees, Cauliflower
Host Plants
Mango (Revised)